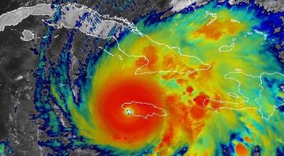
Angesichts der schweren Schäden durch Hurrikan «Melissa» hat Jamaikas Regierung die Karibikinsel zum Katastrophengebiet erklärt. Das teilte Ministerpräsident Andrew Holness auf der Plattform X mit.
Schusswechsel, brennende Barrikaden, Drohnenangriffe: Der Einsatz gegen das Rote Kommando in den Favelas der Küstenmetropole führt zu bürgerkriegsähnlichen Zuständen. Menschenrechtler üben Kritik.